NOT SOLD (BIDDING OVER)
0.00CAD
This item WAS NOT SOLD. Auction date was 2024 Aug 22 @ 10:00UTC-07:00 : PDT/MST
International Shipping is available through 3rd party. See shipping details.
Items must be paid in full on the day of the sale.
Commercial building walk through for inspection July 24-Aug 20, 2024.
AUCTION DATE: August 22, 2024
PREVIEW ITEMS: August 21, 2024 (10am-5pm CST)
NOTE: ITEMS NOT PICKED UP BY THE DEADLINE WILL BECOME THE PROPERTY OF THE CONSIGNOR, AND NO REFUNDS WILL BE ISSUED UNLESS ARRANGEMENTS HAVE BEEN MADE WITH US.
TO VIEW BUILDING PRIOR TO THE AUCTION, PLEASE CONTACT US AT +1 604 653 9797 OR AUCTION@DIRECTLIQUIDATION.CA TO BOOK AN APPOINTMENT.
The description for lot 0B is below the following disclaimer.
Disclaimer:
We will be selling properties (Lots 0A, 0B, and 0C) in the following manner:
Pre-Bidding:
• Lots 0A, 0B, and 0C are open for pre-bidding online until 2 PM PDT on August 22nd, 2024.
Live Online Auction:
• The auction for all items from Lot 1 and onwards will start at 10 AM PDT on the scheduled date and continue until 2 PM.
• At 2 PM, Lots 0A, 0B, and 0C will be opened for live bidding. After these lots are sold (subject to Vendor approval), the auction will proceed until the final item is sold.
Bidding Process for Lots 0A, 0B, and 0C:
• Lot 0A: Bidding will begin at 2 PM. The highest bid will be held.
• Lot 0B: Bidding will commence after Lot 0A. The highest bid will be held.
• Lot 0C: This is a package lot that includes both Lots 0A and 0B. If the highest bid for Lot 0C exceeds the combined highest bids for Lots 0A and 0B, this bid will be held pending Vendor approval, and the bids for Lots 0A and 0B will be canceled.
• If the highest bid for Lot 0C is lower than the combined highest bids for Lots 0A and 0B, the bid for Lot 0C will be canceled, and the bids for Lots 0A and 0B will be held pending Vendor approval.
Deposit Requirements:
• Winner of Lot 0A: Must pay a deposit of $25,000 within 24 hours of family approval.
• Winner of Lot 0B: Must pay a deposit of $25,000 within 24 hours of family approval.
• Winner of Lot 0C: Must pay a deposit of $25,000 within 24 hours of family approval.
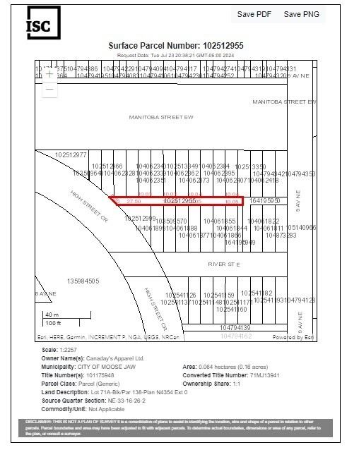
Industrial property with 2.86+/- acres located at 115 Coronation Dr. in the town of Moose Jaw, Saskatchewan sitting conveniently just off the Manitoba Expy, Zoned M2F2 – Heavy Industrial District Flood Fringe 2. The land is comprised of 31 individual surface parcels (Lots 43-71A) 0.07-0.16 +/- acres in size.
The land has a 46,617 square foot commercial warehouse sitting on it that was built in 1953. The building was a textile manufacturing facility that employed 300+ people. Complete with central air conditioning, gas heaters and fluorescent lighting. The building has a roll up door for shipping and receiving on River St. E.
Surface Parcel Lots (43-71A) :
Lot 43-Blk/Par 138-Plan N4354 Ext 0 – 0.12 Acres
Lot 44-Blk/Par 138-Plan N4354 Ext 0 – 0.07 Acres
Lot 45-Blk/Par 138-Plan N4354 Ext 0 – 0.09 Acres
Lot 46-Blk/Par 138-Plan N4354 Ext 0 – 0.09 Acres
Lot 47-Blk/Par 138-Plan N4354 Ext 0 – 0.09 Acres
Lot 48-Blk/Par 138-Plan N4354 Ext 0 – 0.09 Acres
Lot 49-Blk/Par 138-Plan N4354 Ext 0 – 0.09 Acres
Lot 50-Blk/Par 138-Plan N4354 Ext 0 – 0.09 Acres
Lot 51-Blk/Par 138-Plan N4354 Ext 0 – 0.09 Acres
Lot 52-BIk/Par 138-Plan N4354 Ext 0 – 0.09 Acres
Lot 53-BIk/Par 138-Plan N4354 Ext 0 – 0.09 Acres
Lot 54-BIk/Par 138-Plan N4354 Ext 0 – 0.09 Acres
Lot 55-BIk/Par 138-Plan N4354 Ext 0 – 0.09 Acres
Lot 56-BIK/Par 138-Plan N4354 Ext 0 – 0.09 Acres
Lot 57-Blk/Par 138-Plan N4354 Ext 0 – 0.09 Acres
Lot 58-Blk/Par 138-Plan N4354 Ext 14 – 0.09 Acres
Lot 59-Blk/Par 138-Plan N4354 Ext 15 – 0.09 Acres
Lot 60-Blk/Par 138-Plan N4354 Ext 17 – 0.09 Acres
Lot 61-Blk/Par 138-Plan N4354 Ext 0 – 0.09 Acres
Lot 63-Blk/Par 138-Plan N4354 Ext 0 – 0.09 Acres
Lot 63-Blk/Par 138-Plan N4354 Ext 12 – 0.04 Acres
Lot 63-Blk/Par 138-Plan N4354 Ext 15 – 0.11 Acres
Lot 64-Blk/Par 138-Plan N4354 Ext 0 – 0.09 Acres
Lot 65-Blk/Par 138-Plan N4354 Ext 0 – 0.09 Acres
Lot 66-Blk/Par 138-Plan N4354 Ext 0 – 0.09 Acres
Lot 67-Blk/Par 138-Plan N4354 Ext 0 – 0.09 Acres
Lot 68-Blk/Par 138-Plan N4354 Ext 0 – 0.09 Acres
Lot 69-Blk/Par 138-Plan N4354 Ext 0 – 0.09 Acres
Lot 70-Blk/Par 138-Plan N4354 Ext 0 – 0.09 Acres
Lot 71-Blk/Par 138-Plan N4354 Ext 0 – 0.11 Acres
Lot 71 A-Blk/Par 138-Plan N4354 Ext 0 – 0.16 Acres
TERMS :
1.PLATFORM: The Online Auction will be accessed on the Internet using the platform of www.liveauctionworld.com via www.directauctions.ca.
2.BIDDERS MUST PRE-REGISTER: All bidders will be required to pre-register prior to participating in the auction and the registration will include confirmation of a valid credit card as well as the collection of Purchaser's Bank and Banker contact information. Bidders will have “Buyer” status by definition as set out in Real Estate Act. Set out by the Saskatchewan Real Estate Commission https://www.srec.ca/pdf/SRECAct.pdf
3.BUYER'S PREMIUM & COOPERATING BROKERS: A Buyer's Premium of 5% will be added to the final bid and will constitute a portion of the selling price. The 5% Buyer's Premium plus GST will be retained by Direct Auctions as commission for their services rendered. Direct Auctions cooperates with other brokers and offers 1% of Final Sale Price as compensation. In order to qualify for the commission the Agent must contact Direct Auctions to register their bidder prior to their client registering as a bidder in the sale.
4.GST: Applicable GST (5%) will be added to the final purchase price and will be calculated into 2 categories: the portion of the selling price that excludes the Buyer’s Premium and the portion that constitutes the Buyer’s Premium.
5.TITLE: The Title(s) shall be free and clear of all encumbrances except those which do not affect the marketability of the property including, but not limited to easements, utility rights-of-way, restrictive covenants and conditions that are normally found registered against property of this nature.
6.AS IS WHERE IS: The ultimate purchaser of the property the “Purchaser” shall accept the Property “AS IS”, “WHERE IS” NO WARRANTIES GIVEN, and “WITH ALL FAULTS” as of the closing date and the Purchaser specifically agrees that the Seller (the “Family”), Direct Auctions and Live Auction World do not make any representations or warranties of any kind whatsoever, expressed or implied, to the Purchaser as to the value, condition or fitness of the Property, environmental or otherwise, or any part thereof or improvements thereon. All descriptions, measurements and acreage provided by the Vendor and Direct Auctions are to be used as a guide only. The Purchaser acknowledges and agrees that it is the Purchaser's sole responsibility to make such legal, factual and other inquiries, inspections and investigations as the Purchaser considers necessary prior to bidding on the Property, and Purchaser will warrant and represent that he shall have satisfied himself as to the location and condition of the Property, and all descriptions with respect thereto, prior to bidding, and that he has had the opportunity to do so.
7.RIGHT TO CANCEL, POSTPONE OR WITHDRAW: Direct Auctions reserves the right to cancel, postpone or withdraw the Property(s) up to the start of the auction.
8. VENDOR APPROVAL: The sale of the parcels/lots are contingent upon the approval of Canaday’s Apparel Ltd. (the “THE VENDOR”). Notwithstanding any bids received and accepted by Direct Auctions during the auction, the final sale will not be considered complete until the Vendor’s Approval has been obtained, which approval may be withheld for any reason or no reason. If the Vendor’s Approval is not granted, the sale shall be considered null and void. The seller will not proceed with the transaction, and the highest bidder (the “BUYER”) will be released from any obligation to complete the purchase.
9. COMPLETION DAY: The Completion Day will be determined as 30 days after the auction has been completed upon, with the subject approval of the Vendor or on another date mutually agreed upon by the Buyer, Vendor and Direct Auctions. The completion, closing and land transfer will be handled by Alex Laird of Stringam Law, located at 351 Central Ave, Swift Current, SK, S9H 0L5. The Purchaser will be required to retain the services of a lawyer to complete the transaction, ensuring the purchase is executed by the agreed-upon closing date ("Completion Day"). The Buyer and the Vendor shall be responsible for their own legal fees and due diligence. Direct Auctions will not be responsible for any associated fees in respect to the completion of sale.
10.SUCCESSFUL BIDDER REQUIREMENTS: Each successful bidder will be required to complete an unconditional Purchase Contract within 48 hours of the closing of the Auction. There is a reserving right to accept or reject the final bid (Vendor’s Approval) by Canaday’s Apparel Ltd. (The VENDOR).
11.DEPOSIT: The Offer is to be accompanied by a $25,000.00 Deposit. Both Offer and Deposit are to be received within 48 hours of the conclusion of the Auction. All Deposits will be held in accordance with the terms of the signed Purchase Contract. The Deposits must be collected by Alex Laird of Stringam Law, held in Escrow pursuant to the completion of sale. The Deposit(s) will be non-refundable.
12.TERMS OF TRANSFER: The Property will be transferred upon Completion Day “AS IS, WHERE IS. NO WARRANTIES GIVEN.” All contracts pertaining to the sale and transfer will be managed by Alex Laird of Stringam Law located at 351 Central Ave, Swift Current, SK, S9H 0L5.
13.SETTLEMENT OF DISPUTES: Direct Auctions may, in the event of any dispute between bidders, determine the successful bidder or re-offer the subject Property for auction. Should there be any dispute after the Auction, The Live Auction World's record of the High Bid and the Purchase Price shall be conclusive to resolve the dispute.
14.LAWS IN OF PROVINCE OF SASKATCHEWAN: The respective rights and obligations of the parties with respect to these Terms and Conditions and the conduct of the Auction shall be governed, enforced and interpreted by the laws of the Province of Saskatchewan, without regard for conflicts of law principles.
15.DISCLOSURE: Direct Auctions is a wholly owned subsidiary of J.L. & Sons Trading Inc. which is an auction house in the Province of British Columbia and is not a real estate brokerage. All legal contracts and agreements pertaining to the completion of the final sale and transfer will be managed by Kelsey Adam of Accord Century 21 Realty located at 163 1st Ave NE, Swift Current, SK, S9H 2B1.
Auction Location:
2 locations - 115 Coronation Dr & 429 River Street West, Moose Jaw, Saskatchewan, S6H, Canada
Previewing Details:
Commercial building walk through for inspection July 24-Aug 20, 2024. Contact us to book an appointment auction@directliquidation.ca.
Preview details for all items
Preview Date: August 21, 2024
Preview Time: 10AM - 5PM CST
Previewing Addresses:
Lots 1-499 located at 115 Coronation Dr, Moose Jaw, SK S6H 0G3.
Lots 500-916 located at 429 River St W, Moose Jaw, SK S6H
International Shipping is available through 3rd party. See shipping details.
Items must be paid in full on the day of the sale.
AUCTION DATE: August 22, 2024
PREVIEW: August 21, 2024 (10am-5pm CST)
PICK UP DATES: August 23-27, 2024.
PICKUP TIME: 9am-6pm
PICK-UP LOCATIONS:
Lots 1-499 located at 115 Coronation Dr, Moose Jaw, SK S6H 0G3.
Lots 500-916 located at 429 River St W, Moose Jaw, SK S6H
NOTE: ITEMS NOT PICKED UP BY THE DEADLINE WILL BECOME THE PROPERTY OF THE CONSIGNOR, AND NO REFUNDS WILL BE ISSUED UNLESS ARRANGEMENTS HAVE BEEN MADE WITH US.
We charge the following taxes:
No taxes charged for bidders outside of Canada.
Canadian taxes charged:
- British Columbia: GST 5% and PST 7%
- Alberta: GST 5%
- Saskatchewan: GST 5%
- Manitoba: GST 5%
- Ontario: HST 13%
- Quebec: GST 5%
- Nunavut: GST 5%
- Northwest Territories: GST 5%
- Yukon GST 5%
- New Brunswick: HST 15%
- Newfoundland and Labrador: HST 15%
- Nova Scotia: HST 15%
- Prince Edward Island: HST 15%
Taxes:
| Tax | Rate | Desc. |
| GST |
5% |
GST |
| PST |
7% |
PST |
| GST |
5% |
GST |
| GST |
5% |
GST |
| GST |
5% |
GST |
| HST |
13% |
HST |
| GST |
5% |
GST |
| GST |
5% |
GST |
| GST |
5% |
GST |
| GST |
5% |
GST |
| HST |
15% |
HST |
| HST |
15% |
HST |
| HST |
15% |
HST |
| HST |
15% |
HST |
| PST |
6% |
PST |
Buyer's Premiums:
| From (Incl.) | To (Excl.) | Premium |
| 0.00 |
Infinite |
18% |
Additional Fees:
Shipping Details:
The successful bidder is responsible for all shipping and handling fees including any customs costs. The bidder is responsible to start the pickup/shipping process as soon as payment has been made. The shipping process will begin once all payments are finalized. The bidder is responsible to inform the auction house about their shipping arrangements.
ALL ITEMS NOT PICKED UP BEFORE THE PICKUP DEADLINE WILL BECOME THE PROPERTY OF DIRECT LIQUIDATION/ CONSIGNOR AND WILL NOT BE GIVEN TO THE SUCCESSFUL BIDDER WITH NO REFUNDS UNLESS ARRANGEMENTS HAVE BEEN MADE WITH DIRECT LIQUIDATION.
In advance of bidding, we recommend contacting the following shipping courier(s) and getting a quoted price ahead of time, please let us know at auction@directliquidation.ca if you have made other shipping arrangements or have any questions.
(Please send your invoice after the auction to one of the following shipping courier(s) to get a quote and start your shipping process)
We suggest contacting one of our shipping partner(s) below to start your shipping process:
FOR LARGE ITEMS (minimum quantity of a standard size pallet)
Option 1: Full service (RECOMMENDED)
Transource Freightways – This company will pick your item(s) from Direct Liquidation, pack your item(s) and ship them to you. The buyer will be sent a tracking number to track their order.
Contact Omed directly at +1 (236) 515-4436 to get a quote. You can also contact them via email at: Oraqib@transourcefreightways.com
Payment Details:
After the completion of the auction, the credit card on file of the successful bidders will be charged automatically and bidders will be emailed an invoice.
All successful bidders have entered into a contract and are obliged to pay for all successfully awarded items in full within 24 hours upon receipt of the winning notification email.
The bidder can also pay in person at the time of the pick up ONLY if prior arrangements with the auctioneer have been made.
18% Buyer’s Premium will be added to the subtotal of the winning bid amount, plus, 5% GST and 7% PST in BC.
For example: Winning Bid $100.00 + 18% Buyers premium = $118.00 + 5% GST ($5.9) + 7% PST ($8.26) = Total purchase price $132.16
Accepted Payment Methods:
- VISA
- Master Card
- E-Transfer
- Debit
- Cash
PLEASE READ CAREFULLY
All items are sold "As Is-Where Is" with no guarantees, warranties, refunds, or exchanges. All sales are final. Including off site purchases. Items must be paid in full on the day of the sale.
Whereby catalogues are required, they are produced only as a guide. No sale shall be invalidated for any reason or by defect or inaccuracy of description in the catalogue or otherwise.
A bidder is deemed to have accepted an item when making a bid.
The auctioneer reserves the right to not accept any bid which is only a partial advance over the preceding bid.
All successful bidders have entered into a contract and are obliged to pay for all successfully awarded items in full within 24 hours upon receipt of the winning notification email and invoice(s).
You are responsible for arranging your own shipping, assistance will be provided to couriers.
In the event a refund is required, it is crucial for bidders to promptly initiate a refund request within a designated 7-day period starting from the date of the auction. Failure to submit the request within this specified timeframe will result in the non-issuance of refunds without exception.
Please see Payment, Tax, and Shipping details for information before bidding.
PLEASE NOTE: Excluding off-site items, ALL ITEMS NOT PICKED UP BEFORE THE PICKUP DEADLINE WILL BECOME THE PROPERTY OF DIRECT LIQUIDATION AND WILL NOT BE GIVEN TO THE SUCCESSFUL BIDDER (UNLESS ARRANGEMENTS HAVE BEEN MADE WITH DIRECT LIQUIDATION)!
Buyer hereby:
By purchasing any of the assets/item(s) in the auction agrees to the following terms and conditions:
1. I hereby understand and agree that the item(s) purchased are for personal use only
2. I hereby understand and agree that if I do resell, rent, lend, give or grant rights to the item (s) being photographed, promoted, posted, advertised, used in any future productions, mediums or forums in any capacity, I take on full responsibility of any potential future liability to ensure that all copyright, contracts, royalties and trademark laws with regards to the item(s) are adhered to.
3. I hereby understand and agree that if I do resell, rent, lend, give or grant rights to the item (s) being photographed, promoted, posted, advertised, used in any future productions, mediums or forums in any capacity, I take on full responsibility and potential liability with regards to any of these item(s) should any infractions with regards to the resale / reproduction / lease (as mentioned above) of these items be in question.
4. I understand and agree that reproduction of any of these items could have limitations and take on full responsibility and any potential liability that could arise as a result of reproducing the item(s).
5. I understand and agree that if I do resell and or rent, lend, give or grant rights to the item (s) being photographed, promoted, posted, advertised, used in any future productions, mediums or forums in any capacity, that I will not use the name of the show unless I have been given authorization to do so. I further take on any and all responsibility and potential liability that could arise from using the name of the show (s) with regards to a purchased item (s) should I not seek approval.
Further to this:
1. accept and assume full responsibility for any and all risk of bodily injury or property damage and other risks and hazards even remotely related to my purchase of such item(s) ;
2. acknowledge and agree that the item(s) that I am purchasing is being sold to me in “as is” condition, without any warranty whatsoever, express or implied, as to the fitness of the item(s) or any of its components, whether modified or not, for any intended use or otherwise;
3. waive, release and discharge for myself, my heirs, executors, administrators, legal representatives assigns, successors in interest and anyone claiming or who could claim through me any and all rights and claims of any nature which I may have or which may hereafter accrue to me against Direct Liquidation and its parent, subsidiary, related and affiliated companies (collectively referred to herein as “Company”), their respective officers, directors, employees and agents, including without limitation, any and all claims for personal injury, death, property damage or any other harm, loss, injury, expense or inconvenience, and expressly agree that this release agreement is intended to be as broad and inclusive as is permitted by law; and
BY PURCHASING ANY ITEM(S) IN THIS AUCTION, I ACKNOWLEDGE THAT I HAVE READ THE ABOVE CAREFULLY AND UNDERSTAND THE INTENT THEREOF. I AM AWARE THAT I AM WAIVING LEGAL RIGHTS THAT I MAY HAVE. I AGREE OF MY OWN FREE WILL, UNDERSTANDING AND ACCEPTING ALL PROVISIONS HEREIN.